| 제목 : - 군산 태헌호 3/28(토) 우럭 오전반 조황 - | ||
| 등록일 : 2026-03-29 | ||
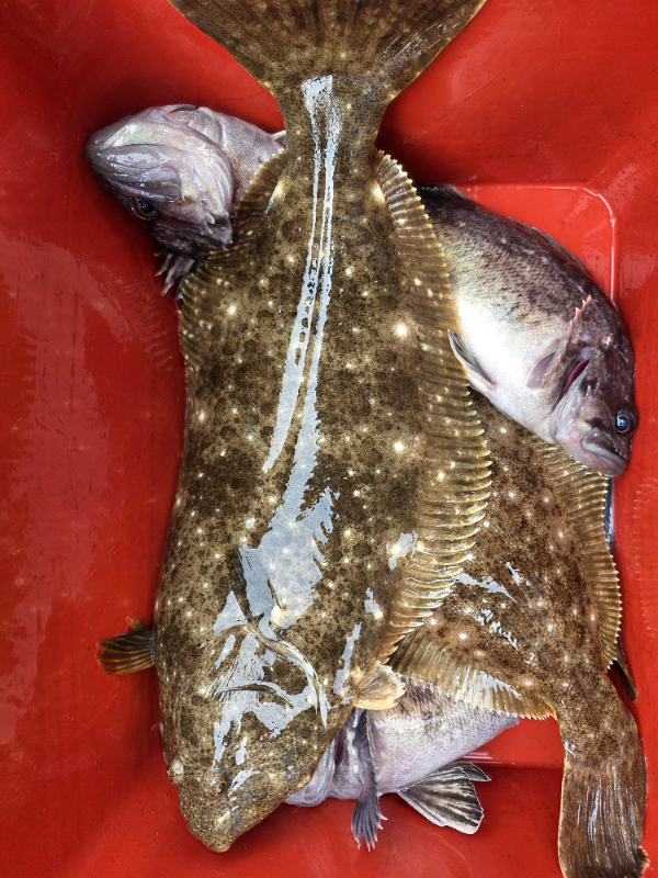
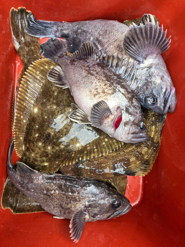
![]() ![]() ![]() ![]() ![]() ![]() ![]() ![]() ![]() ![]() ![]() ![]() ![]() ![]() ![]() ![]() - 2026.03.28(토) 우럭 오전반 조황 리포트 - 물때 : 1물 포인트 : --- 오랜만에 14분의 조사님들과 함께 우럭 출조 다녀왔습니다! ^_^ 출항 전부터 짙게 깔린 해무로 인해 약 1시간 정도 늦게 출항했지만, 따뜻한 오뎅으로 몸을 녹이며 기분 좋게 시작했습니다 ~ 포인트에 도착 후 우럭, 노래미, 광어까지 얼굴을 보여주었지만 하루 종일 이어진 해무 때문에 기대에 미치지못한 조황을 보여 아쉬움이 남는 하루였습니다..ㅠㅡㅠ 올해 첫 우럭 출조라 쿨러 꽉 채워드리고 싶었는데 오늘은 다음을 위한 빌드업으로 생각하고 가겠습니다~^-^;; 무사히 안전 입항 완료하였으며 금일 대부분 밴친님들께서 승선해주셔서 진심으로 감사드립니다~ 모두 고생 많으셨습니다! 다음에는 더 좋은 조황으로 보답하겠습니다~!♡ 안전하게 귀가하시고 즐거운 주말 보내세요!^-^ ❤️군산 NO.1 태헌피싱❤️ *** 군산 태헌호 예약 안내 *** 예약문의 : 010-6451-6108 오시는길 : 전북 군산시 새만금북로 277 서군산낚시 홈페이지 : https://taeheon.sunsang24.com/
|
||