조황관리HOME / 조황관리 / 상세정보

제목 : 3/28 [군산 태헌호]_우럭 오전반 14인 조황!! 올해도 달립니다 ~!
등록일 : 2026-03-28
3/28 [군산 태헌호]_우럭 오전반 14인 조황!! 올해도 달립니다 ~! 

2026.03.06(토) 우럭 오전반 조황 리포트

물때 : 1물
포인트 : ---

오랜만에 14분의 조사님들과 함께
우럭 출조 다녀왔습니다!
출항 전부터 짙게 깔린 해무로 인해
약 1시간 정도 늦게 출항했지만,
따뜻한 오뎅으로 몸을 녹이며 기분 좋게 시작했습니다

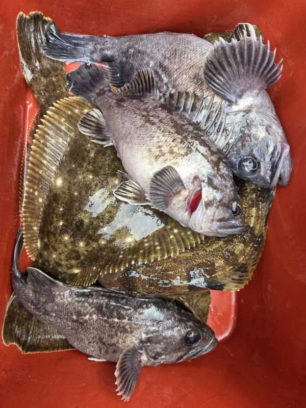
포인트에 도착 후 우럭, 노래미, 광어까지 얼굴을 보여주었지만
하루 종일 이어진 해무 때문에 기대에 미치지못한 조황을 보여 아쉬움이 남는 하루였습니다..

올해 첫 우럭 출조라 쿨러 꽉 채워드리고 싶었는데 오늘은 다음을 위한 빌드업으로 생각하고 가겠습니다~!

무사히 안전 입항 완료하였으며
금일 대부분 밴친님들께서 승선해주셔서
진심으로 감사드립니다~
모두 고생 많으셨습니다!

다음에는 더 좋은 조황으로 보답하겠습니다~!
안전하게 귀가하시고 즐거운 주말 보내세요!


군산 선상낚시, 바다낚시 출조 전문 ☆서군산낚시☆_사진_20260328_1.jpg


군산 선상낚시, 바다낚시 출조 전문 ☆서군산낚시☆_사진_20260328_2.jpg


군산 선상낚시, 바다낚시 출조 전문 ☆서군산낚시☆_사진_20260328_3.jpg


군산 선상낚시, 바다낚시 출조 전문 ☆서군산낚시☆_사진_20260328_4.jpg


군산 선상낚시, 바다낚시 출조 전문 ☆서군산낚시☆_사진_20260328_5.jpg


군산 선상낚시, 바다낚시 출조 전문 ☆서군산낚시☆_사진_20260328_6.jpg


군산 선상낚시, 바다낚시 출조 전문 ☆서군산낚시☆_사진_20260328_7.jpg


군산 선상낚시, 바다낚시 출조 전문 ☆서군산낚시☆_사진_20260328_8.jpg


군산 선상낚시, 바다낚시 출조 전문 ☆서군산낚시☆_사진_20260328_9.jpg


군산 선상낚시, 바다낚시 출조 전문 ☆서군산낚시☆_사진_20260328_10.jpg


군산 선상낚시, 바다낚시 출조 전문 ☆서군산낚시☆_사진_20260328_11.jpg


군산 선상낚시, 바다낚시 출조 전문 ☆서군산낚시☆_사진_20260328_12.jpg


군산 선상낚시, 바다낚시 출조 전문 ☆서군산낚시☆_사진_20260328_13.jpg


군산 선상낚시, 바다낚시 출조 전문 ☆서군산낚시☆_사진_20260328_14.jpg


군산 선상낚시, 바다낚시 출조 전문 ☆서군산낚시☆_사진_20260328_15.jpg


군산 선상낚시, 바다낚시 출조 전문 ☆서군산낚시☆_사진_20260328_16.jpg
 

■ 예약문의 : 063-466-6565                   010-9774-1551

■ 오시는길 : 전라북도 군산시 새만금북로277(오식도동 1002)

■ 서군산낚시 실시간 예약 바로가기 :
 http://seo.sunsang24.com/

■ 서군산낚시 밴드 바로가기 : https://band.us/band/78646704


제목을 입력해주세요_-001.png





 
Top