조황관리HOME / 조황관리 / 상세정보

제목 : 12/28 신조선 [군산 뚱스호]_우럭 열기 종일반 조황_철수길에 만난 행운의 무지개 ~!
등록일 : 2025-12-28
12/28 신조선 [군산 뚱스호]_우럭 열기 종일반 조황_철수길에 만난 행운의 무지개 ~! 
 
안녕하십니까..
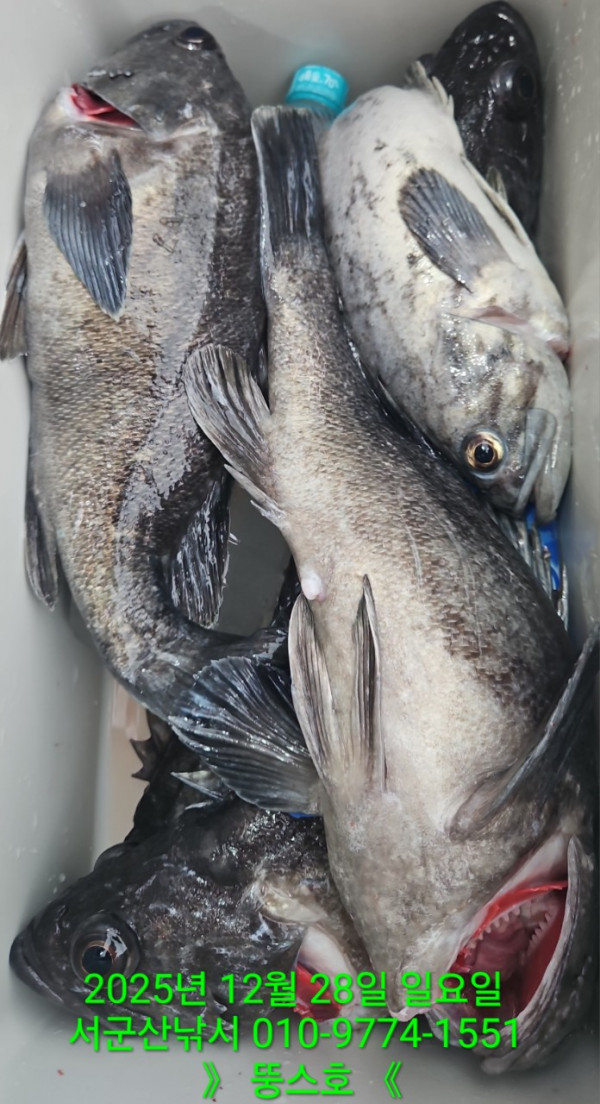
12월 28일 우럭열기 조황입니다
종일 울면서 다니면서
여기저기서 조금씩 잡아보았습니다
조과차이도 났습니다
철수길에 가진여에 생긴 무지개가
이뻐서..

우럭 사이즈 이벤트 진행중 입니다

오늘오신 조사님들 고생 많으셨습니다.


군산 선상낚시, 바다낚시 출조 전문 ☆서군산낚시☆_사진_20251228_1.jpg


군산 선상낚시, 바다낚시 출조 전문 ☆서군산낚시☆_사진_20251228_2.jpg


군산 선상낚시, 바다낚시 출조 전문 ☆서군산낚시☆_사진_20251228_3.jpg


군산 선상낚시, 바다낚시 출조 전문 ☆서군산낚시☆_사진_20251228_4.jpg


군산 선상낚시, 바다낚시 출조 전문 ☆서군산낚시☆_사진_20251228_5.jpg


군산 선상낚시, 바다낚시 출조 전문 ☆서군산낚시☆_사진_20251228_6.jpg


군산 선상낚시, 바다낚시 출조 전문 ☆서군산낚시☆_사진_20251228_7.jpg


군산 선상낚시, 바다낚시 출조 전문 ☆서군산낚시☆_사진_20251228_8.jpg


군산 선상낚시, 바다낚시 출조 전문 ☆서군산낚시☆_사진_20251228_9.jpg


군산 선상낚시, 바다낚시 출조 전문 ☆서군산낚시☆_사진_20251228_10.jpg


군산 선상낚시, 바다낚시 출조 전문 ☆서군산낚시☆_사진_20251228_11.jpg


군산 선상낚시, 바다낚시 출조 전문 ☆서군산낚시☆_사진_20251228_12.jpg


군산 선상낚시, 바다낚시 출조 전문 ☆서군산낚시☆_사진_20251228_13.jpg


군산 선상낚시, 바다낚시 출조 전문 ☆서군산낚시☆_사진_20251228_14.jpg
 

■ 예약문의 : 063-466-6565                   010-9774-1551

■ 오시는길 : 전라북도 군산시 새만금북로277(오식도동 1002)

■ 서군산낚시 실시간 예약 바로가기 :
 http://seo.sunsang24.com/

■ 서군산낚시 밴드 바로가기 : https://band.us/band/78646704


제목을 입력해주세요_-001.png





 
Top