조황관리HOME / 조황관리 / 상세정보

제목 : 군산 태헌호 2025/12/13(토) 우럭낚시대회
등록일 : 2025-12-13

































++태헌호 2025 군산시 낚시어선협회장++
♧ 천류 마탄자배 전국 우럭낚시대회 참가♧

올겨울 첫 우럭 출항을
전국 우럭낚시대회 참가로 뜻깊게 시작했습니다! 

이번 대회에는
++ 참가인원 총 800명가량
++ 선단 약 40척이 함께한 대규모 행사였습니다~^_^
새벽 5시, 비응항 출발!
포인트로 이동 후 어초를 탐색하며 낚시 시작~!

오전 10시쯤부터 비가 내리기 시작했지만
궂은 날씨 속에서도 조사님들
끝까지 집중하며 우럭을 힘차게 끌어올려 주셨습니다!

오후 1시 대회 종료
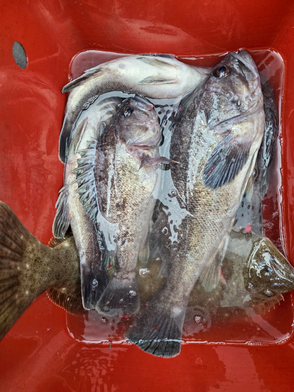
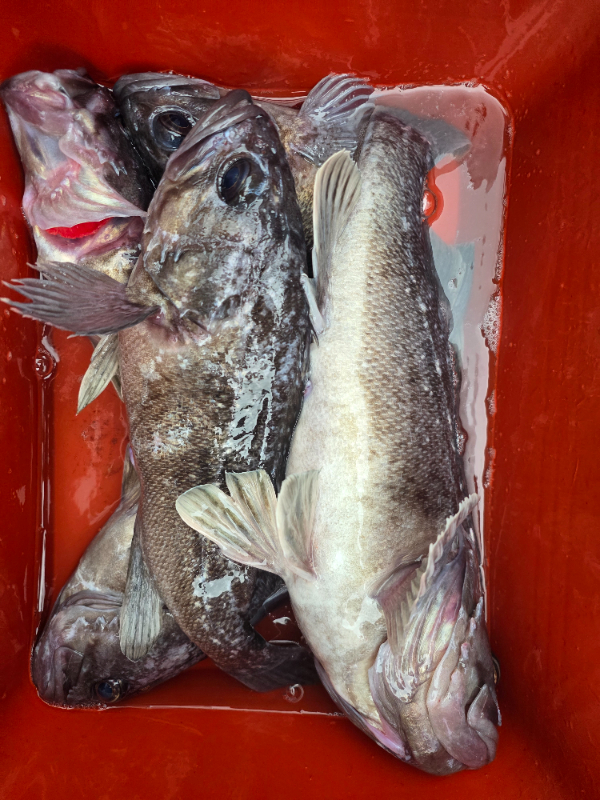
아쉽게 전체 1등은 놓쳤지만,
 3~4자급 우럭 다수 포획하며
의미 있는 성과로 대회를 마무리했습니다! ♡

참가해주신 모든 조사님들
정말 정말 고생 많으셨습니다 
저희 태헌호와 함께해 주셔서 진심으로 감사드립니다!^_^

태헌호 다음 출항 안내
먼바다 우럭 / 열기 출조
여유 자리 있습니다!
출항 : 오전 7시
철수 : 오후 2시
식사 미제공 , 라면,물,음료,다과 제공

예약문의 : 063-466-6565
홈페이지 예약
 ‘군산 태헌호’ 또는 ‘선상24’ 검색 GO!
여러분의 많은 관심과 예약 문의
기다리고 있겠습니다~♡

#군산태헌호#우럭낚시#전국우럭낚시대회#천류마탄자배#군산낚시#비응항#선상낚시#우럭출조#열기낚시#먼바다낚시
#조사님감사합니다

❤️군산 NO.1 태헌피싱❤️



*** 군산 태헌호 예약 안내 ***


예약문의 : 

 - 010-2441-8750

 - 010-6451-6108

오시는길 : 전북 군산시 새만금북로 277 서군산낚시

홈페이지 : https://taeheon.sunsang24.com/


모바일.jpg 


Top