조황관리HOME / 조황관리 / 상세정보

제목 : 12/10 신조선 [군산 뚱스호]_우럭 열기 조황_우럭 사이즈 이벤트 진행중입니다~!
등록일 : 2025-12-10
12/10 신조선 [군산 뚱스호]_우럭 열기 조황_우럭 사이즈 이벤트 진행중입니다~! 
 
안녕하십니까..
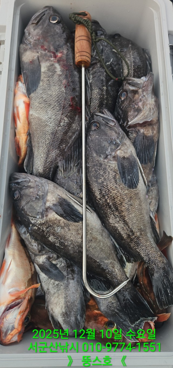
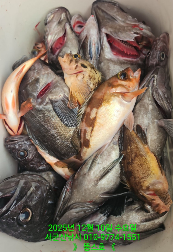
12월 10일 우럭열기 조황입니다
사이즈 좋은것들이 낱마리 이지만
하나둘 나와주고
열기가 부족한 손맛을 채워주니
시간가는줄 모르게 열낚하다
나쁘지 않은 조황으로
철수 하였습니다

우럭 사이즈 이벤트 진행중 입니다

오늘오신 조사님들 고생 많으셨습니다


군산 선상낚시, 바다낚시 출조 전문 ☆서군산낚시☆_사진_20251210_1.jpg


군산 선상낚시, 바다낚시 출조 전문 ☆서군산낚시☆_사진_20251210_2.jpg


군산 선상낚시, 바다낚시 출조 전문 ☆서군산낚시☆_사진_20251210_3.jpg


군산 선상낚시, 바다낚시 출조 전문 ☆서군산낚시☆_사진_20251210_4.jpg


군산 선상낚시, 바다낚시 출조 전문 ☆서군산낚시☆_사진_20251210_5.jpg


군산 선상낚시, 바다낚시 출조 전문 ☆서군산낚시☆_사진_20251210_6.jpg


군산 선상낚시, 바다낚시 출조 전문 ☆서군산낚시☆_사진_20251210_7.jpg


군산 선상낚시, 바다낚시 출조 전문 ☆서군산낚시☆_사진_20251210_8.jpg


군산 선상낚시, 바다낚시 출조 전문 ☆서군산낚시☆_사진_20251210_9.jpg


군산 선상낚시, 바다낚시 출조 전문 ☆서군산낚시☆_사진_20251210_10.jpg


군산 선상낚시, 바다낚시 출조 전문 ☆서군산낚시☆_사진_20251210_11.jpg


군산 선상낚시, 바다낚시 출조 전문 ☆서군산낚시☆_사진_20251210_12.jpg


군산 선상낚시, 바다낚시 출조 전문 ☆서군산낚시☆_사진_20251210_13.jpg


군산 선상낚시, 바다낚시 출조 전문 ☆서군산낚시☆_사진_20251210_14.jpg


군산 선상낚시, 바다낚시 출조 전문 ☆서군산낚시☆_사진_20251210_15.jpg


군산 선상낚시, 바다낚시 출조 전문 ☆서군산낚시☆_사진_20251210_16.jpg


군산 선상낚시, 바다낚시 출조 전문 ☆서군산낚시☆_사진_20251210_17.jpg


군산 선상낚시, 바다낚시 출조 전문 ☆서군산낚시☆_사진_20251210_18.jpg


군산 선상낚시, 바다낚시 출조 전문 ☆서군산낚시☆_사진_20251210_19.jpg


군산 선상낚시, 바다낚시 출조 전문 ☆서군산낚시☆_사진_20251210_20.jpg
 

■ 예약문의 : 063-466-6565                   010-9774-1551

■ 오시는길 : 전라북도 군산시 새만금북로277(오식도동 1002)

■ 서군산낚시 실시간 예약 바로가기 :
 http://seo.sunsang24.com/

■ 서군산낚시 밴드 바로가기 : https://band.us/band/78646704


제목을 입력해주세요_-001.png





 
Top